Siêu bão Neoguri tấn công Okinawa, 4 người bị thương, 1 người mất tích
Theo AP, quân đội Mỹ cũng đã quyết định ngừng mọi hoạt động ngoài trời của 50.000 binh sỹ đóng quân tại đây.
Trong khi đó, chính quyền tỉnh Okinawa cho biết đã có 4 người bị thương trong đó có 1 cụ già 83 tuổi bị thương nặng ở đầu và 1 người bị mất tích trên thuyền ngoài khơi đảo Kyushu, phía Bắc Okinawa.
Toàn bộ sân bay địa phương đã bị đóng cửa và 550.000 người dân trên đảo được yêu cầu sơ tán khỏi nhà của mình để tránh những cơn gió mạnh và những con sóng dữ cao đến 14m.
Truyền hình Nhật Bản cũng đăng tải những đoạn video cho thấy nhiều ngôi nhà và cây cối bị đáng bật lên khi gió mạnh tràn qua thủ phủ Naha của Okinawa.
"Xin hãy tìm nơi trú ẩn càng sớm càng tốt”, Chủ tịch Ủy ban An toàn Quốc gia Nhật Bản Keiji Furuya tuyên bố.
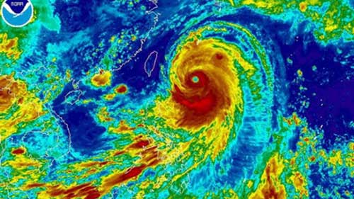
Được coi là cơn bão lớn nhất đổ bộ vào Nhật Bản trong mùa hè này, siêu bão Neoguri có sức gió lên đến 194km/h và giật đến 240km/h, Cơ quan khí tượng thủy văn Nhật Bản (JMA) cho biết.
Các nhà dự báo thời tiết cho biết cơn bão này đang di chuyển về hướng đảo Kyushu và sau đó sẽ tiến vào đảo Honshu của Nhật Bản. Sức mạnh của cơn bão sẽ suy giảm nhiều, tuy nhiên sức tàn phá của nó chủ yếu đến từ những đợt mưa lớn có thể gây lở đất và lụt lội. Mức độ tàn phá còn có thể ghê gớm hơn nữa bởi cơn bão này diễn ra trong gian đoạn cuối của mùa mưa tại Nhật Bản.
Các quan chức Trung Quốc cũng đã cảnh báo các tàu tránh xa khu vực có bão.
Philippines, nước đã trải qua cơn bão Haiyan khủng khiếp đã không bị ảnh hưởng bởi những cơn gió mạnh của siêu bão Neoguri.
Cơn bão Neoguri không đổ bộ vào đất liền của Philippines mà có vị trí khoảng cách tỉnh cực Bắc Batanes 480km về phía Đông khi cơn bão này đi qua đây ngày 6/7. Tuy nhiên, cơn bão này cũng đã gây ra mưa lớn tại một số tỉnh ở phía Tây Philippines.
Trần Khánh/vov.vn
Bắc Ninh















Ý kiến bạn đọc (0)